U.S. flag

An official website of the United States government

Official websites use .gov
A .gov website belongs to an official government organization in the United States.

Secure .gov websites use HTTPS
A lock ( ) or https:// means you’ve safely connected to the .gov website. Share sensitive information only on official, secure websites.

Commonwealth Avenue Bridge Replacement Project

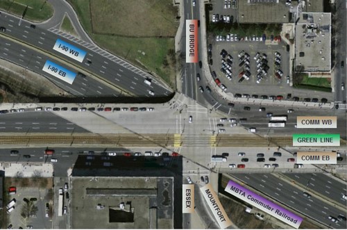
Project Image

The next intensive construction phase for the Massachusetts Department of Transportation’s (MassDOT) upcoming Commonwealth Avenue Bridge Replacement Project is scheduled to take place between Thursday, July 26, 2018 and Saturday, August 11, 2018. There will be significant service impacts to all modes of transportation in the Boston University/Saint Paul Street neighborhood of Boston along Commonwealth Avenue, for Amtrak, MBTA, and commuter rail customers, BU Bridge vehicles and on I-90 (the Massachusetts Turnpike). As a result, Cambridge residents will also potentially be affected – to varying degrees. Pedestrians and bicyclists will have bridge access throughout construction, with some detours.

Here are some of the noteworthy impacts that the Cambridge community should be aware of:

  • The Boston University (BU) Bridge will be closed to all vehicular traffic, including MBTA buses, beginning on Thursday, July 27 at 7 p.m. through 5 a.m. on Saturday, August 11. Access will be restricted on the BU Bridge to only pedestrians and bicyclists.
  • I-90 (Mass Pike) in Boston between the Allston Interchange and the Beacon Street Overpass will be reduced to one or two lanes in both directions from 9 p.m. on Friday, July 27, through 5 a.m. on Monday, August 6.  The I-90 East on-ramp from Cambridge Street/Soldiers Field Road will be closed this entire period. The Exit 20 off-ramp from I-90 West (to Brighton/Cambridge/Storrow Drive) will be closed intermittently.
  • MBTA bus service will be impacted with expanded detours to the CT2 and 47 routes between Thursday, July 26 at 7 p.m. through Saturday, August 11 at 5 a.m.
  • MassDOT has requested that the Department of Conservation and Recreation (DCR) allow vehicular traffic on Memorial Drive in Cambridge on Sunday, July 29, and Sunday, August 5 to minimize impacts on local roadways and allow for reliable travel throughout the area.
  • Detour routes through Cambridge are likely to create traffic backups.
  • During construction, pedestrians and bicyclists will have access across the Commonwealth Avenue Bridge on the eastbound side and across the BU Bridge at all times. See below for maps and detour information.

For more information, residents are encouraged to visit http://camb.ma/MassDOTProj or contact CommAveBridge@dot.state.ma.us

MassDOT is hosting a public meeting on the Commonwealth Avenue Bridge Replacement Project in Cambridge:

Wednesday, July 18, 6:30 PM
Morse School, Auditorium
40 Granite Street, Cambridge, MA

MassDOT and project team staff will describe the Summer 2018 Construction Shutdown (July 26 – August 11) in detail, review detour routes, and respond to questions. 

Here are some of the noteworthy impacts that the Cambridge community should be aware of:

  • The Boston University (BU) Bridge will be closed to all vehicular traffic beginning on Thursday, July 27 at 7 p.m. through 5 a.m. on Saturday, August 11.
  • I-90 (Mass Pike) in Boston between the Allston Interchange and the Beacon Street Overpass will be reduced to one or two lanes in both directions from 9 p.m. on Friday, July 27, through 5 a.m. on Monday, August 6. The I-90 East on-ramp from Cambridge Street/Soldiers Field Road will be closed this entire period. The Exit 20 off-ramp from I-90 West (to Brighton/Cambridge/Storrow Drive) will be closed intermittently.
  • MassDOT has requested that the Department of Conservation and Recreation (DCR) allow vehicular traffic on Memorial Drive in Cambridge on Sunday, July 29, and Sunday, August 5 to minimize impacts on local roadways and allow for reliable travel throughout the area.
  • Detour routes through Cambridge are likely to create traffic backups.

View road closure detour maps:

During construction, pedestrians and bicyclists will have access across the Comm Ave Bridge on the eastbound side and on the BU Bridge at all times. Please be aware of the following maps showing the routes that will be in place during this time frame:

The Bicycle Routes and Detours map shows the bicycle route that will be in place during construction.

  • Bicyclists will be routed to Amory St and St. Mary's St as an alternative to north-south bike travel between the BU Bridge and Mountfort St/Essex St.
  • Eastbound bicyclists heading to the BU Bridge will cross Comm Ave at Carlton St to a shared bike/pedestrian walkway to travel westbound to connect to the BU Bridge.
  • Westbound bicyclists will cross at Carlton St and continue westbound in a temporary bike lane alongside the bus-only lane in the eastbound roadway. They will cross back to Comm Ave westbound at Amory St.
  • Eastbound bicyclists will continue to use the existing westbound bicycle lanes.
  • There are no crossings between Amory St and Carlton St.
  • There will be portions of the route near the work zone where cyclists will have to walk their bikes due to limited width in those areas that must be shared with pedestrians. We anticipate high volumes of pedestrians and bicyclists within those areas that would result in too many conflicts for bicyclists to safely ride.

The Walk and Bike Times map shows the estimated walk and bike times between different landmarks along Comm Ave. MassDOT is encouraging active transportation throughout the project and has partnered with Blue Bikes to provide additional temporary bike stations during construction. Wayfinding signs will also be posted along Comm Ave and on the Cambridge side of the BU Bridge.

During construction, pedestrians will have access across the Comm Ave Bridge on the eastbound side and on the BU Bridge at all times. Please be aware of the following maps showing the routes that will be in place during this timeframe:

The Pedestrian Routes and Detours map shows the minor pedestrian detour that will be in place during construction to keep pedestrians safely away from the work zone on the westbound side of the Comm Ave Bridge.

  • Pedestrians will be able to access all existing sidewalks, except the sidewalk along Comm Ave westbound between approximately Amory St and University Rd and the sidewalk on the southbound side of the BU Bridge. 
  • A temporary pedestrian path will be established from Comm Ave near University Rd through the adjacent parking lot to connect to the sidewalk along the northbound side of the BU Bridge. 
  • Pedestrian crossings will be in place at Amory St and at Carlton St/University Rd where pedestrians can cross to use the sidewalk along Comm Ave eastbound for east-west travel. 

The Walk and Bike Times map shows the estimated walk and bike times between different landmarks along Comm Ave. MassDOT is encouraging active transportation throughout the project and has partnered with Blue Bikes to provide additional temporary bike stations during construction. Wayfinding signs will also be posted along Comm Ave and on the Cambridge side of the BU Bridge.

Here are some of the noteworthy impacts that the Cambridge community should be aware of:

  • The Boston University (BU) Bridge will be closed to all vehicular traffic, including MBTA buses, beginning on Thursday, July 27 at 7 p.m. through 5 a.m. on Saturday, August 11. Access will be restricted on the BU Bridge to only pedestrians and bicyclists.
  • MBTA bus service will be impacted with expanded detours to the CT2 and 47 routes between Thursday, July 26 at 7 p.m. through Saturday, August 11 at 5 a.m.

View Detour Information. 

For more information about the project, email CommAveBridge@dot.state.ma.us

Page was posted on 7/11/2018 4:40 PM
Page was last modified on 7/24/2023 9:26 PM
Contact Us

How can we help?

Please provide as much detail below as possible so City staff can respond to your inquiry:

As a governmental entity, the Massachusetts Public Records Law applies to records made or received by the City. Any information received through use of this site is subject to the same provisions as information provided on paper.

Read our complete privacy statement


Service Requests

Enter a service request via SeeClickFix for things like missed trash pickups, potholes, etc.